Sie sind nicht angemeldet.

Entdecke unsere Auswahl an Produkten für Amphibien & Aquaristik & Reptilien und Angeln

Quertaucher

Albino Salamander

  • »Quertaucher« ist männlich
  • »Quertaucher« ist der Autor dieses Themas

Beiträge: 284

Registrierungsdatum: 30. August 2005

Wohnort: Sachsen Anhalt

  • Nachricht senden

161

Mittwoch, 13. Februar 2008, 22:51

Goldi der Auswanderer

Hai,

der Winter bleibt weg und wir haben damit die Chance eine lückenlose Beobachtung hinzukriegen.
Nur ein einsames Grad Luft und trotzdem ein sonniges Wohlgefühl, weil windstill.
Dafür steckte auch diesmal der Teufel im Detail.
Die Umzugsmatte trocknete artig im heimischen Keller und der Tauchcomputer meinte wohl auch: habe ich schon 57 Mal gemacht die Tour, da streike ich mal vor Langeweile.
Nun, es gibt einen Reservehelden namens Suunto und der macht immer was er soll. Und eine Ersatzmatte fand sich dann auch noch.
Was war sonst?
Über Wasser waren 3 sehr kleine umgefärbte Salamander unterwegs und ein größerer.
Unser neuer Star Goldi ist wohl nicht mehr abgetaucht unterwegs. Jedenfalls hat er wahrscheinlich sein Asyl als zu öde eingestuft und die Örtlichkeit gewechselt. Dafür ist Mr. Big wieder erschienen.
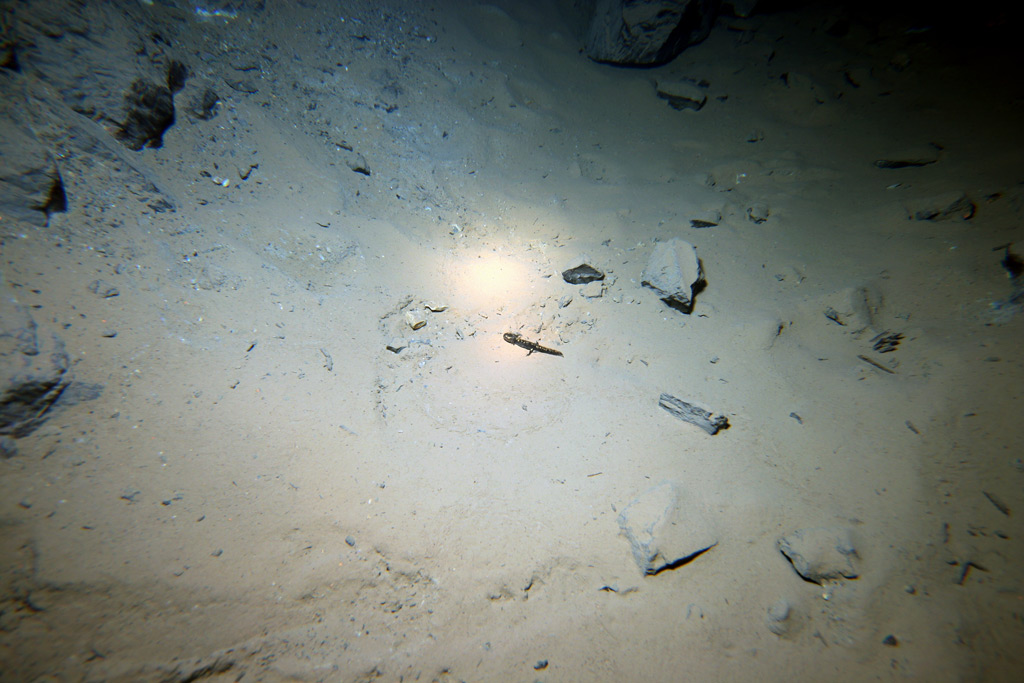
Mit dem Originalobjektiv habe ich diesmal versucht, diverse Luftblasen an der Firste abzulichten- mit mäßigem Erfolg. Aber überzeugt Euch selbst.

33 Larven waren das Ergebnis der heutigen Sucherei und die schöne Gewissheit, dass auch ein verrotzter Taucher überleben kann, wenn der Druckausgleich funktioniert.
Und irgendwas Wichtiges muss schließlich funktionieren. Man lebt ja schon genug vom improvisieren.

Zum Abschluss dann noch ein Suchbild, wo denn dort die Larve versteckt ist.

Gruss

dER qUERTAUCHER
»Quertaucher« hat folgende Bilder angehängt:
  • 13.02.-004-Mr.-Big-1.jpg
  • 13.02.-029-Luftblase-2.jpg
  • 13.02.-052-L.-im-Holz.jpg
  • 13.02.-068-L-im-Suchbild.jpg
  • 13.02.-042-Firste.jpg
Der Quertaucher

Quertaucher

Albino Salamander

  • »Quertaucher« ist männlich
  • »Quertaucher« ist der Autor dieses Themas

Beiträge: 284

Registrierungsdatum: 30. August 2005

Wohnort: Sachsen Anhalt

  • Nachricht senden

162

Mittwoch, 27. Februar 2008, 22:53

RE: Goldi wieder da

Hai,

es ist schon schön bei vorfrühlingshaftem Sonnenschein durch den schneefreien Harzwald zu fahren, um den turnusmäßigen Besuch der Larvengemeinde anzusteuern.
Nix vergessen und 5° Außentemperatur lassen die Unternehmung gut beginnen. Außerdem werden wir von einer Ansammlung von jährigen Feuersalamandern begrüßt, die nur noch von einem großen trächtigen Weibchen gekrönt wird.
Sicher bedingt durch den milden Winter eingeläutet, sind bereits die ersten Larven abgesetzt. Im Flachbereich habe ich nach kurzem Rundblick gleich fünf Neuankömmlinge ausgemacht, was ahnen lässt, wie sich die Unterwelt bevölkert haben könnte.
Am Ende sind es 52 Stück und davon einige sehr kleine, aber auch zwei sehr große, die auch noch am Gesenk dich beieinander liegen.
Und eine weitere unerwartete Begegnung erwartete mich 10m vor dem Stollenende.
Abgemagert und ein Bild des Jammers lag leicht aufgerichtet an einer Wand unser Goldi, den ich definitiv bei der letzten Betauchung nicht gefunden habe. Er ist dabei Hautteile abzusondern, was insgesamt für mich kein gutes Zeichen ist. Noch lebt er aber. Leider sind die Aufnahmen wegen einer Überbelichtung nur von dokumentarischem Wert.

Dafür habe ich die beiden größten Larven auf ein Bild bekommen, was wohl diesmal das Highlight war.

Gut Luft

dER qUERTAUCHER
»Quertaucher« hat folgende Bilder angehängt:
  • 27.02.-048-Goldi-abgemagert.jpg
  • 27.02.-095-Mr.-Big-zwei-Stü.jpg
  • 27.02.-101-Mr.-Big.jpg
  • 27.02.-069-Erzgang-Firste.jpg
  • 27.02.-100-2-Mr.-Big.jpg
Der Quertaucher

Inshi

Feuersalamander.de - Admin

  • »Inshi« ist männlich

Beiträge: 2 637

Registrierungsdatum: 13. Juni 2004

Wohnort: Baden

  • Nachricht senden

163

Freitag, 29. Februar 2008, 07:30

RE: Goldi wieder da

Hi Quertaucher,

Zitat

Und eine weitere unerwartete Begegnung erwartete mich 10m vor dem Stollenende.
Abgemagert und ein Bild des Jammers lag leicht aufgerichtet an einer Wand unser Goldi


was die Hautreste angeht, ist das offenbar eine noch nicht vollständig erfolgte Häutung. Über den Gesamtzustand des Tiers mache ich mir allerdings auch Sorgen, das sieht nicht so aus, als würde es die nächste Zeit überleben. Die Frage für mich ist: Bestand früher vielleicht ein Ein-/ Ausgang für die Tiere, der jetzt verschlossen ist? Könnte eine Erklärung sein, denn ansonsten würden die metamorphosierten Tiere doch die Höhle zur Futtersuche verlassen...

Viele Grüße,

Ingo
Halte verschiedene Tiere der Gattung Salamandra und einige andere Urodelen

Quertaucher

Albino Salamander

  • »Quertaucher« ist männlich
  • »Quertaucher« ist der Autor dieses Themas

Beiträge: 284

Registrierungsdatum: 30. August 2005

Wohnort: Sachsen Anhalt

  • Nachricht senden

164

Freitag, 29. Februar 2008, 15:31

RE: Goldi wieder da

Hai,

der Ein-/Ausgang ist natürlich so groß, dass sogar ich dadurch passe.
Andere Möglicheiten existieren nicht. In einem älteren Posting ist ja eine Grobzeichnung des Bergwerks veröffentlicht worden, aus der alles ersichtlich ist.

Mir scheint es so, dass "Goldi" sich verirrt hat, abgetaucht ist und nun da unten rumsucht.

Seine Chancen für ein weiteres Überleben halte ich auch für gering, wenn er sich nicht mit ein paar neuen Larven stärkt.

Gruß

dER qUERTAUCHER
Der Quertaucher

Quertaucher

Albino Salamander

  • »Quertaucher« ist männlich
  • »Quertaucher« ist der Autor dieses Themas

Beiträge: 284

Registrierungsdatum: 30. August 2005

Wohnort: Sachsen Anhalt

  • Nachricht senden

165

Mittwoch, 12. März 2008, 22:06

50% Zuwachs

Hai,

heute war richtiges Feuersalamanderwetter- jedenfalls nachmittags. Es regnet leicht und das animierte fünf große Tiere sich am Eingangsbereich des Bergwerks (innen) aufzuhalten. Dazu garnierten sich noch mehrere kleinere Salamander.
2° Außentemperatur und ein Pseudowinter haben wohl den Vermehrungstrieb entfacht.
So konnte eine Zunahme der Larven um 50% registriert werden. Bei den 79 gezählten Kleinen waren die beiden größten Hauptdarsteller noch nicht einmal dabei. Sie hatten sich wieder versteckt.
Dafür lebt Goldi noch und sieht dabei nicht viel besser aus als vor 14 Tagen. Vielleicht behagt ihm der Kannibalismus nicht. Genug Auswahl hätte er ja.
Die Larven konzentrierten sich zu großen Teilen im näheren Umfeld des Gesenks, allerdings war kein großes Weibchen zu finden.
Da bereits mehrfach zur Laichzeit große Tiere hier unten auf 22m waren, kann wohl davon ausgegangen werden, dass direkt auch unten Larven abgesetzt werden.

Weiter oben waren keine Larven zu finden, außer im Flachbereich am Mundloch.

Schon möglich, dass in zwei Wochen noch mehr Larven zu zählen sind. Diesmal waren sie recht schwimmfreudig und von diesen Bewegungsaufnahmen waren sogar einige brauchbare dabei.

In der zweiten Fotoserie gibt es nur Aufnahmen von über Wasser.

Bis demnächst.

dER qUERTAUCHER
»Quertaucher« hat folgende Bilder angehängt:
  • 12.03.08-057-Goldi.jpg
  • 12.03.08-060-Goldi-nah.jpg
  • 12.03.08-098-L.-schwimmt.jpg
  • 12.03.08-099-L.schwimmt-fre.jpg
  • 12.03.08-109-L.-schwimmt.jpg
Der Quertaucher

Quertaucher

Albino Salamander

  • »Quertaucher« ist männlich
  • »Quertaucher« ist der Autor dieses Themas

Beiträge: 284

Registrierungsdatum: 30. August 2005

Wohnort: Sachsen Anhalt

  • Nachricht senden

166

Mittwoch, 12. März 2008, 22:08

RE: 50% Zuwachs

Fotos im Bergwerk über Wasser am Mundloch
»Quertaucher« hat folgende Bilder angehängt:
  • 12.03.08-011-großes-Weibche.jpg
  • 12.03.08-016-Jungsalamander.jpg
  • 12.03.08-017-großer-Salaman.jpg
  • 12.03.08-023-großer-Salaman.jpg
  • 12.03.08-021.jpg
Der Quertaucher

Inshi

Feuersalamander.de - Admin

  • »Inshi« ist männlich

Beiträge: 2 637

Registrierungsdatum: 13. Juni 2004

Wohnort: Baden

  • Nachricht senden

167

Mittwoch, 12. März 2008, 22:20

RE: 50% Zuwachs

Hi Quertaucher,

"Goldi" sieht ja mehr tot als lebendig aus...-glaube nicht, dass er das noch schafft.

Und die Tiere am Eingang könnten trächtige Weibchen sein...
Könnte es sein, dass in der Nähe des Mundlochs abgelegte Larven ebenfalls alle nach unten schwimmen?

Viele Grüße,

Ingo
Halte verschiedene Tiere der Gattung Salamandra und einige andere Urodelen

Quertaucher

Albino Salamander

  • »Quertaucher« ist männlich
  • »Quertaucher« ist der Autor dieses Themas

Beiträge: 284

Registrierungsdatum: 30. August 2005

Wohnort: Sachsen Anhalt

  • Nachricht senden

168

Donnerstag, 3. April 2008, 08:16

Abschied von zwei großen Darstellern

Hai,

die Wetterkapriolen der letzten Wochen haben dazu geführt, dass wir in diesem sogenannten Winter doch noch einmal pausieren mussten.
Bei Tiefschnee auf einem Waldweg fernab des nächsten Abschleppfahrzeugs und im Funkloch auf den Frühling zu warten wäre zwar auch eine tolle Idee, nur kann man ja einmal im Jahr vernünftig sein.
Der Temperaturumsturz der letzten Tage hat den Schnee komplett verdampft und so war die Spannung groß, was sich inzwischen getan hat.
Zarte Gemüter müssen ja nicht alle Fotos anschauen sag ich mal vorweg.
Im Gesenk erwartete mich unten auf der kleinen Geröllhalde die erste Überraschung. Die beiden großen Larven, die noch kürzlich beieinander liegend fotografiert habe, sind beide dahingegangen. Gründe unbekannt. Sie hätten nur aufsteigen brauchen und wären raus gewesen. Dafür hat sich jetzt ein weiteres großes Tier als Hauptdarsteller mangels Konkurrenz etabliert.
Goldi hat sich weiter in die Richtung Ortbrust vorgeschleppt ohne zu fressen. Aber er lebt noch immer und das seit zehn Wochen!
Gefressen hat er noch immer nicht und wird es wohl auch nicht mehr…
Ansonsten konzentrieren sich die Larven vor allen Dingen im Umkreis des Gesenks und die Zahl ist so ziemlich konstant mit 81 Stück,
Ein Foto gelang von einer Larve beim Austauchen in ca. 17m Wassertiefe, wo sie auf einem Balken lag.
Zum Abschluß entdeckte ich auf 5m Wassertiefe noch ein Insekt im Pelz, das den Sprung zum Futtertier wohl verpasst hat.

Einen schönen Frühlingsbeginn wünscht

dER qUERTAUCHER
»Quertaucher« hat folgende Bilder angehängt:
  • IMG_4098-Goldi-1.jpg
  • IMG_4174-Hauptdarsteller-2.jpg
  • IMG_4179-The-End.jpg
  • IMG_4204-L-au-17m.jpg
  • IMG_4223-Insekt.jpg
Der Quertaucher

Kamil

Forenschreck

  • »Kamil« ist männlich

Beiträge: 2 045

Registrierungsdatum: 21. April 2003

Wohnort: Huntersville, USA

Beruf: Forenschreck

  • Nachricht senden

169

Donnerstag, 3. April 2008, 10:25

Hi,

ich komme dieses Frühjahr zwar nicht, wie eigentlich geplant, zu den Grottenlmen nach Postojna, weil sich mir alles in den Weg stellt, aber dafür kann ich hier Salamander-"Höhlennews" lesen! Danke dafür und viel Erfolg und Glück beim nächsten Tauchgang! Wie sieht die Senke in der die Tiere hocken eigentlich ganz aus? Hättest du da auch ein Bild?

Viele Grüße,

Kamil

Quertaucher

Albino Salamander

  • »Quertaucher« ist männlich
  • »Quertaucher« ist der Autor dieses Themas

Beiträge: 284

Registrierungsdatum: 30. August 2005

Wohnort: Sachsen Anhalt

  • Nachricht senden

170

Donnerstag, 3. April 2008, 19:33

Hai,

die Senke ist keine Senke, sondern ein Bergwerk im harz, das vor 250 Jahren angelagt wurde und später aufgelassen (also aufgegeben) wurde.

Vor längerer Zeit ist hier eine Skizze eingestellt worden, die wohl das meiste erklärt.

Ein Gesenk, von dem hier öfter die Rede ist, ist inder Bergmannssprache ein senkrechter Schacht, der 22m unter Tage in die Tiefe geht. Für mich zum Glück ist er voll Wasser gelaufen, sonst müßte man sich mühselig abseilen.

Gruß

dER qUERTAUCHER
Der Quertaucher

Quertaucher

Albino Salamander

  • »Quertaucher« ist männlich
  • »Quertaucher« ist der Autor dieses Themas

Beiträge: 284

Registrierungsdatum: 30. August 2005

Wohnort: Sachsen Anhalt

  • Nachricht senden

171

Sonntag, 6. April 2008, 16:09

Hai,

hier mal ein kleiner Nachtrag, weil ja der Turnus der Beobachtungen etwas gedehnt werden mußte.

Weil vor 14 Tagen so schönes Winterwetter war, wie auf dem beigefügten Foto haben wir uns für eine Woche Aufschub entschieden.

Schönen Sonntag.

dER qUERTAUCHER
»Quertaucher« hat folgendes Bild angehängt:
  • IMG_7089-Salamanderschild-W.jpg
Der Quertaucher

Quertaucher

Albino Salamander

  • »Quertaucher« ist männlich
  • »Quertaucher« ist der Autor dieses Themas

Beiträge: 284

Registrierungsdatum: 30. August 2005

Wohnort: Sachsen Anhalt

  • Nachricht senden

172

Samstag, 10. Mai 2008, 10:07

Vorläufiger Abschied

Hai,

bedingt durch einen heftigen Motorradunfall vom 13.04. müssen wir hier die Beobachtungn vorläufig aussetzen.

Wenn alles weiterhin so gut läuft mit der Regeneration wie bisher, hoffe ich zum Herbst neue Berichte liefern zu können.

So long

dER qUERTAUCHER
Der Quertaucher

Kamil

Forenschreck

  • »Kamil« ist männlich

Beiträge: 2 045

Registrierungsdatum: 21. April 2003

Wohnort: Huntersville, USA

Beruf: Forenschreck

  • Nachricht senden

173

Samstag, 10. Mai 2008, 11:21

Hallo,

dann wünsche ich dir gute Genesung und alles Gute! Ich hoffe du kommst flott wieder auf die Beine und bald wieder in deine Höhlen!

Viele Grüße,

Kamil

Quertaucher

Albino Salamander

  • »Quertaucher« ist männlich
  • »Quertaucher« ist der Autor dieses Themas

Beiträge: 284

Registrierungsdatum: 30. August 2005

Wohnort: Sachsen Anhalt

  • Nachricht senden

174

Mittwoch, 16. Juli 2008, 22:17

Hallo,

ja damit hier nicht der Eindruck entsteht, dass nix mehr passiert, möchte ich mal ein Lebenszeichen abgeben.

Also etwas langwieriger als gedacht, gestaltet sich die Genesung doch.

Aber Schwimmen und Tauchen geht schon wieder besser als Laufen.

Anbei mal eine kleine Impression vom vergangenen Sonntag.

Karpfen sind zwar auf dem Teller recht zutraulich, in freier Natur allerdings ziemlich scheu.

Dieses Wasserschwein habe ich in einem Kiessee nach dem Durchschwimmen einer dicken Sedimentwolke beim Fressen gestört.

Sorry.

Bis demnächst

dER qUERTAUCHER
»Quertaucher« hat folgendes Bild angehängt:
  • 2008-07-13-092-Karpfen-klei.jpg
Der Quertaucher

Quertaucher

Albino Salamander

  • »Quertaucher« ist männlich
  • »Quertaucher« ist der Autor dieses Themas

Beiträge: 284

Registrierungsdatum: 30. August 2005

Wohnort: Sachsen Anhalt

  • Nachricht senden

175

Montag, 25. August 2008, 00:11

Back again

Hai,

alles gut vorbereitet und trotzdem beinahe gescheitert! So könnte man unseren Wiedereinstieg in die Beobachtungen der Feuersalamanderlarven in diesem Harzer Bergwerk zusammenfassen.
Wir können den dritten Jahrestag feiern und das haben wir auch ausgiebig getan (natürlich erst nach der Aktion). Nach der unfallbedingten Pause sollte heute ein wirklich aufregender Tg folgen. Immerhin sind seit dem letzen Besuch über 21 Wochen vergangen. Was würde uns erwarten?
Waren überhaupt noch Larven da?
Gleich mit zwei Tauchknappen, die brav das ganze Gerödel bis ans Mundloch geschleppt haben, waren wir schon mal am ersten Haltepunkt angelangt. Der Versehrte krabbelte den Hang mit dem Fotorucksack hinauf und wir waren zufrieden über diese erste Etappe. Ein paar Kleinigkeiten beim Einstellen des Weitwinkelobjektivs und dann sollte es so richtig losgehen.
Ging es aber nicht, weil ein paar nette Menschen uns ein anderes Schloß vor die Tür gehängt hatten in der Zwischenzeit! Schöne Überraschung, denn die hatten doch glatt vergessen uns einen Schlüssel zu geben.
Nun gut. Nach Hause wollten wir nicht nach dem ganzen Aufwand und so mußten wir etwas basteln, doch dann gings richtig los…
Denkste. Die Akkutankhalterung lag noch im Auto. Also noch mal einer zurück das Ding suchen. Leider nicht gefunden- also provisorisch befestigen. Kamera auf Dichtigkeit getestet, alles angeschnallt und schon hätte man das Gesenk mal in bester Klarsicht fotografieren können- der Apparat hatte aber was dagegen. Rumfummeln, na geht doch, nur das Gesenk will er nicht.
Ab mit der Fuhre in den Schacht. Unten Supersicht, aber ein Taucher, der der Verzweiflung nahe, weil hier auch wieder in der Totalen keine Fotos zu machen waren, wirft den Blick zur Routinekontrolle auf den Computer. Und der sagt zur Abwechslung mal nix. Auch schön. Geht es eben mal ohne. Der Regler hört sich auch etwas eigenartig an (oder ist das jetzt schon Einbildung), aber da ist ja noch Ersatz für den Fall der Fälle.
Es tummelten sich sehr viele kleine Larven in dem Stollen und eine sehr viel größere. Insgesamt so um die 75 Stück. Diesmal sind mir bestimmt einige entwischt, war doch vieles etwas schwieriger als sonst...
Dazu noch die Leiche eines Frosches bei ca. 30m Strecke und die möglichen Überreste von Goldi, denn der ward nicht mehr gesichtet.
Überraschend waren viele Fotos total unterbelichtet und das Experiment eher mangelhaft gelungen, doch es gibt ja Bearbeitungsprogramme, die z.T. zaubern können.
Aber es wird weitere Versuche geben, wenn wir auch erst mal wieder eine kleine Pause einlegen müssen. Die Rekonvaleszenz verlangt noch etwas Geduld.
Aber wir freuen uns auf weitere spannende Momente im vierten Jahr.

dER qUERTAUCHER
»Quertaucher« hat folgende Bilder angehängt:
  • 2008-08-24-081-L1.jpg
  • 2008-08-24-084-Trio.jpg
  • 2008-08-24-096-Trio-2.jpg
  • 2008-08-24-112-gr.-Larve.jpg
  • 2008-08-24-125-The-End.jpg
Der Quertaucher

Quertaucher

Albino Salamander

  • »Quertaucher« ist männlich
  • »Quertaucher« ist der Autor dieses Themas

Beiträge: 284

Registrierungsdatum: 30. August 2005

Wohnort: Sachsen Anhalt

  • Nachricht senden

176

Montag, 25. August 2008, 00:16

RE: Back again

und noch ein paar Fotos vom Stollen...
»Quertaucher« hat folgende Bilder angehängt:
  • 2008-08-24-107-Bohrloch.jpg
  • 2008-08-24-151-Ortsbrust-mi.jpg
  • 2008-08-24-126-Ortsbrust.jpg
  • 2008-08-24-084-Trio.jpg
Der Quertaucher

Friedrich

Roter Salamander

  • »Friedrich« ist männlich

Beiträge: 183

Registrierungsdatum: 17. Februar 2007

Wohnort: Berlin

  • Nachricht senden

177

Montag, 25. August 2008, 20:38

Hallo Quertaucher,

schöne Fotos mal wieder,
noch schöner ist, dass du wieder fit bist und uns an den spannenden Tauchgängen teilhaben lässt.

Viele Grüße,
Friedrich

Quertaucher

Albino Salamander

  • »Quertaucher« ist männlich
  • »Quertaucher« ist der Autor dieses Themas

Beiträge: 284

Registrierungsdatum: 30. August 2005

Wohnort: Sachsen Anhalt

  • Nachricht senden

178

Dienstag, 9. September 2008, 22:12

99. Tauchgang

Hai,

dies ist nun wieder einmal ein besonderer Tauchgang, weil der 99. in Bergwerken. Und wie man hier lesen kann, konnte anschließend ein wenig gefeiert werden.
Just fünf Minuten vorher erhielt ich telefonisch die Nachricht, dass für einen anderen Taucher aus der näheren Umgebung es nix mehr zu feiern gab. Er hat im „Grundlos“-See bei Oschersleben seinen letzten TG gemacht. Wie, warum ist noch ungeklärt. Ich kenne den See auch, der ist nicht ohne, zumal der Taucher noch nicht allzu viele TGs hatte und dann kann man da in der Kälte und Dunkelheit schon schnell mal austicken. Habe ich selbst hinter mir und damals rechtzeitig abgebrochen, ehe das Kopfkino noch die Übermacht gewinnt. Aber das ist wieder eine andere Geschichte und auch schon einige Zeit her.
Allerdings kommt so eine Nachricht direkt vor dem Einstieg auch nicht so günstig und es stellen sich schon mal paar Fragen ein, ob das denn nun alles nötig ist…

Ist es aber.

Also alles noch einmal etwas gründlicher überprüft, die beiden freundlichen Tauchknappen (ohne die es z.Z. nicht zu einem Tauchgang kommen würde- also Danke noch einmal ausdrücklich an dieser Stelle für den Support in über 60 Tauchgängen in diesem „privaten Tauchgewässer“) bepackt und ab ging es in den Wald.
Der Rest ist relativ unspektakulär gelaufen, außer dass die Ersatzkamera (die kleine alte Powershot A75) erst gar nicht fotografieren wollte. Nach einigen unfreundlichen Äußerungen und diversen unsanften Argumenten, sollten dann wenigstens noch einige halbwegs brauchbare Fotos entstehen.
86 Larven und dazu 2 verendete sind schon eine ganze Menge, fast so viele wie vor einem Jahr, sogar 5 mehr, allerdings kein neuer Rekord.
Eine große Larve, die übrigens ungefähr doppelt so groß ist, wie die kleinen normal umgewandelten Feuersalamanderjungtiere hat sich unten schon wieder recht dick gefressen und eine weitere ist dabei aufzuschließen. Wir haben also wieder einen neuen Hauptdarsteller (siehe Foto). Von Goldi gibt es keine Spur mehr. Vielleicht war er enttäuscht, dass so lange keiner mehr das Licht da unten angeknipst hat, wahrscheinlicher ist aberm, dass ich neulich sein Grab fotografiert habe.
Mit der kleinen Kamera war es nach den Anfangsquerelen ein entspannter Tg und die Zählerei ging auch recht gut. Dafür sind die Fotos wieder minderwertig.
Der neue Tauchcomputer hat auch seinen ersten Overhead-Tg gut überstanden und nicht gemeckert…- er darf dann jetzt öfter mitkommen.

Nun hat der Tauchknappe erst mal Urlaub und dann schaun wir gern wieder, was unsere Larven dort unten treiben.

Gut Luft

dER qUERTAUCHER
»Quertaucher« hat folgende Bilder angehängt:
  • 2008-08-31-006-2-L-kurz-vor.jpg
  • 2008-08-31-009-Mr.-Big.jpg
  • 2008-08-31-019-Stollen-mit-.jpg
  • 2008-08-31-024-Luftblase.jpg
Der Quertaucher

Quertaucher

Albino Salamander

  • »Quertaucher« ist männlich
  • »Quertaucher« ist der Autor dieses Themas

Beiträge: 284

Registrierungsdatum: 30. August 2005

Wohnort: Sachsen Anhalt

  • Nachricht senden

179

Dienstag, 30. September 2008, 23:36

Jubiläum mit kleinen Tücken

Hai,

vorab mal die Fakten: 8° C feuchte Nieselluft und 73 Larven, dazu eine verendete. Ansonsten keine besonderen Vorkommnisse.
Denkste.
Dieser Jubiläumstauchgang, der eigentlich ganz woanders stattfinden sollte, war dann doch ein besonderer. Erstmals in meinem kleinen Taucherleben riß mir ein Flossenband. Gleich am Einstieg beim Anrödeln. War aber kein Problem, weil die Flossen sich so paßgenau ansaugen, dass es auch mal ohne Fersenband geht. (Ich ahne schon das verständnislose Kopfschütteln einiger Tauchkollegen, doch das wußte ich aus vorangegangen TGs).

Bereits bevor die mit zwei Tauchknappen vollzählige Mannschaft beisammen war, passierte wohl das wirklich Bemerkenswerte: es wurde in der Nähe eine Wildkatze gesehen.
Wir trafen dann beim Transport am Bach einen adulten Salamander, der es sich bei diesem für ihn angenehmen Wetter auf einem Stein gemütlich gemacht hatte.

Es wurde mit Weitwinkel fotografiert, um mal ein paar Impressionen von der Kulisse mitzunehmen. Salamander habe ich ja nun schon reichlich dokumentiert.

Eine weitere kleine Hürde war, dass der Hauptregler etwas schob, d.h. er gibt freiwillig etwas Luft ab, ohne daß er soll. Ging aber alles ohne dramatischen Luftverlust über die Bühne. Ein paar Reserven sind ja immer wichtig und ich atme ja auch reichlich...
Demnächst darf der Atemspender dann mal zur Revision, was heißt darf- er muß!

Unser Hauptdarsteller Mr. Big frißt sich durch die Artgenossen und wenn ich nicht wirklich einige Larven übersehen habe, ist die Anzahl doch schon wieder deutlich dezimiert. Er erreicht allerdings mit dieser Methode, dass er ein Vielfaches einer normalen Larve mißt.

Also gibt es heute mal ein paar Übersichtsfotos. Viel Spaß damit.

Ach so: da traf ich doch diesmal zwei ganz eigenartige Typen, die in ein nachbarschftliches Gspräch vertieft nicht gemerkt haben, dass ich geknipst habe...

Gut Luft weiterhin wünscht sich

dER qUERTAUCHER
»Quertaucher« hat folgende Bilder angehängt:
  • 2008-09-27-007-Opfer-und-Tä.jpg
  • 2008-09-27-012-Leine-und-La.jpg
  • 2008-09-27-015-Mr.-Big.jpg
  • 2008-09-27-017-Drache.jpg
  • 2008-09-27-063-Nachbarn.jpg
Der Quertaucher

Quertaucher

Albino Salamander

  • »Quertaucher« ist männlich
  • »Quertaucher« ist der Autor dieses Themas

Beiträge: 284

Registrierungsdatum: 30. August 2005

Wohnort: Sachsen Anhalt

  • Nachricht senden

180

Donnerstag, 23. Oktober 2008, 22:05

Nix besonderes im Schacht

Hai,

dieser Bericht könnte fast identisch dem vom 30. September sein, nur, dass wir diesmal traumhaftes Herbstwetter mit viel Sonne hatten.

Weil die große Kamera nicht einsetzbar war, mußte schon wieder die kleine alte ran und damit sind kaum brauchbare Fotos zu schießen.
Sei`s drum, ist es eben wegen der Dokumentation.

Es waren wiederum 73 Larven, dazu eine verendete und als Bonus noch ein großer Salamander, der sich schon im Flachbereich mit einem sonderbaren Winterpelz sehr bedeckt hielt.
Der tiefen Nachttemperaturen wegen hatten sich bereits sechs Fledermäuse in den Stollen gehängt.

Es gab nichts wirklich Aufregendes zu berichten, außer dass Uwe paar dicke Pilze während seiner halbstündigen Wartepause gepflückt hat. Wohl bekommt`s!
So ein solider Tauchknappe hat sich ja auch mal ne Leckerei verdient.

Wir schaun demnächst nach, ob sich die Larven wieder kannibalischen Aktivitäten entschlossen haben.

Bis dahin wünsche ich Euch einen schönen Herbst
»Quertaucher« hat folgende Bilder angehängt:
  • 2008-10-23-001-toter-gr.jpg
  • 2008-10-23-010-Mr.-Big.jpg
  • 2008-10-23-017-L.-an-Wand.jpg
  • 2008-10-23-023-Erzader-Firs.jpg
Der Quertaucher

Zurzeit sind neben Ihnen 44 Benutzer in diesem Thema unterwegs:

44 Besucher

Thema bewerten
Entdecke unsere Auswahl an Produkten für Amphibien & Aquaristik & Reptilien und Angeln